リノベ不動産 renove fudosan 日本住を、愉快に。 ローン相談、物件探し、設計・施工、入居後のインテリア提案までリノベ不動産が一貫してサポート。 WEAR_ロゴ 日本住を、愉快に。
  • リノベーション向き物件

小樽市奥沢

現地写真

現地写真

現地写真

現地写真

現地写真

現地写真

現地写真土留め

現地写真土留め

現地写真

現地写真

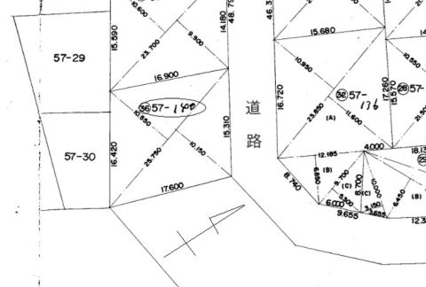
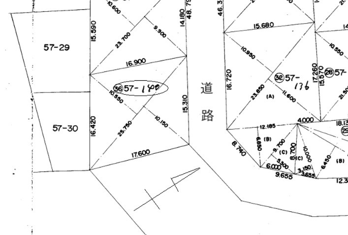
地積測量図

地積測量図

現地写真
現地写真
現地写真
現地写真
現地写真
地積測量図
販売価格
250 万円
土地面積
266.51㎡(80.61坪)(公簿)
エリア
北海道小樽市
沿線・最寄駅
JR函館本線「南小樽」駅 バス9分 徒歩7分
眺望(山々の風景、オーシャンビュー)良好! 別荘・セカンドハウスにも最適!

支払額シミュレーション

小樽市奥沢

  • 敷地面積: 266.51㎡(80.61坪)


販売価格

250万円

参考リノベ費用

500万円

提携ローン

0.95%

毎月のお支払い 20,997円

物件情報

物件名
小樽市奥沢
間取り図
間取り図
間取り図
接道状況
北東側 公道 接道幅6.5m 接面15.3m
ガス
都市ガス
水道
公営水道
汚水
公共下水
販売価格
250万円
建ぺい率
60%
容積率
200%
地積
266.51㎡ (80.61坪) (公簿)
地目
宅地
現況
更地
引渡
2026年03月
取引態様
専任
小学校区
奥沢小学校 (約1000m)
中学校区
向陽中学校 (約550m)

共通概要

種別
売地
所在地
北海道小樽市奥沢4丁目
交通
JR函館本線「南小樽」駅 バス9分 徒歩7分
土地権利
所有権
用途地域
1種中高
地目
宅地
都市計画
市街化区域
販売戸数
1戸

物件の設備・条件

設備・機能
電気/上水道/下水道/側溝/都市ガス

広告主の会社情報

店舗名
リノベ不動産|札幌豊平店
会社名
株式会社リノベクラス
会社住所
北海道札幌市豊平区豊平2条11丁目1番14号
会社電話番号
011-827-8918
免許番号
宅地建物取引業:北海道知事 石狩(1)第9423号 建築士事務所登録:北海道知事(石)第5199号 建設業許可:北海道知事(般-5)第24853号
所属団体
北海道宅地建物取引業協会

情報公開日・更新予定日

情報公開日
2026/01/23
次回更新予定日
情報提供より8日以内に更新
取引条件有効期限
-

小樽市奥沢(北海道小樽市)のリノベーション向きはいかがでしたか?気になる点は資料請求や問い合わせでチェック!画像だけではわからない小樽市奥沢の魅力がきっと見つかります。

小樽市奥沢(北海道小樽市)のリノベーション向きの物件情報はいかがでしたか?最新の販売状況の確認やリノベーションのポイントなど、気になる点は資料請求や問い合わせで確かめることがおすすめです。画像だけではわからない小樽市奥沢の魅力がきっと見つかります。